Abstract
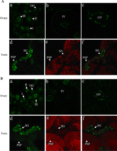
Nucleophosmin/nucleoplasmin has been studied mostly in mammals and amphibians. To clarify the characteristics and function of nucleophosmin/nucleoplasmin in teleost fish, we cloned a full-length cDNA sequence from two cyprinid fish, Carassius auratus gibelio and Carassius auratus. Molecular characterization and multiple sequence alignments suggested that they are the homologs of nucleophosmin. RT-PCR and Western blot detected a specific expression in gonads, and immunofluorescence localization revealed their distribution in oogenic and spermatogenic cells. Furthermore, a sperm decondensation function was demonstrated by immunodepletion and in vitro sperm decondensation experiments. The data suggest that the cloned nucleophosmin should share expressional and functional characterization with nucleoplasmin and therefore provide novel evidence for a functional commonality of nucleophosmin and nucleoplasmin in fish.





Similar content being viewed by others
Explore related subjects
Discover the latest articles and news from researchers in related subjects, suggested using machine learning.References
Aegerter S, Jalabert B, Bobe J (2005) Large scale real-time PCR analysis of mRNA abundance in rainbow trout eggs in relationship with egg quality and post-ovulatory ageing. Mol Reprod Dev 72:377–385
Banuelos S, Omaetxebarria MJ, Ramos I, Larsen MR, Arregi I, Jensen ON, Arizmendi JM, Prado A, Muga A (2007) Phosphorylation of both nucleoplasmin domains is required for activation of its chromatin decondensation activity. J Biol Chem 282:21213–21221
Burns KH, Viveiros MM, Ren Y, Wang P, DeMayo FJ, Frail DE, Eppig JJ, Matzuk MM (2003) Roles of NPM2 in chromatin and nucleolar organization in oocytes and embryos. Science 300:633–636
Crevel G, Huikeshoven H, Cotterill S, Simon M, Wall J, Philpott A, Laskey RA, McConnell M, Fisher PA, Berrios M (1997) Molecular and cellular characterization of CRP1, a Drosophila chromatin decondensation protein. J Struct Biol 118:9–22
Eirin-Lopez JM, Frehlick LJ, Ausio J (2006) Long-term evolution and functional diversification in the members of the nucleophosmin/nucleoplasmin family of nuclear chaperones. Genetics 173:1835–1850
Grisendi S, Bernardi R, Rossi M, Cheng K, Khandker L, Manova K, Pandolfi PP (2005) Role of nucleophosmin in embryonic development and tumorigenesis. Nature 437:147–153
Gui JF, Liang SC, Zhu LF (1993) Preliminary confirmation of gynogenetic reproductive mode in artificially multiple tetraploid allogynogenetic silver crucial carp. Chin Sci Bull 38:327–331
Hingorani K, Szebeni A, Olson MO (2000) Mapping the functional domains of nucleolar protein B23. J Biol Chem 275:24451–24457
Iwata K, Hozumi K, Iihara A, Nomizu M, Sakairi N, Nishi N (1999) Mechanism of salmon sperm decondensation by nucleoplasmin. Int J Biol Macromol 26:95–101
Kawasaki K, Philpottgn A, Avilionll AA, Berriosll M, Fisher PA (1994) Chromatin decondensation in Drosophila embryo extract. J Biol Chem 269:10169–10176
Li CJ, Gui JF (2003) Comparative studies on in vitro sperm decondensation and pronucleus formation in egg extracts between gynogenetic and bisexuel fish. Cell Res 13:159–170
Lim MJ, Wang XW (2006) Nucleophosmin and human cancer. Cancer Detect Prev 30:481–490
Namboodiri VM, Akey IV, Schmidt-Zachmann MS, Head JF, Akey CW (2004) The structure and function of Xenopus NO38-core, a histone chaperone in the nucleolus. Structure 12:2149–2160
Okuda M (2002) The role of nucleophosmin in centrosome duplication. Oncogene 21:6170–6174
Peculis BA, Gall JG (1992) Localization of the nucleolar protein NO38 in amphibian oocytes. J Cell Biol 116:1–14
Pfeifle J, Wolff JM, Anderer FA (1987) Quantitation and potential function of nucleolar phosphoprotein pp 105 in mouse tumor cells, embryonic cells and normal tissues. Comp Biochem Physiol B 87:309–312
Philpott A, Leno GH, Laskey RA (1991) Sperm decondensation in Xenopus egg cytoplasm is mediated by nucleoplasmin. Cell 65:578–596
Prado A, Ramos I, Frehlick LJ, Muga A, Ausio J (2004) Nucleoplasmin: a nuclear chaperone. Biochem Cell Biol 82:437–445
Salvany L, Chiva M, Arnan C, Ausio J, Subirana JA, Saperas N (2004) Mutation of the small acidic tract A1 drastically reduces nucleoplasmin activity. FEBS Lett 576:353–357
Sato K, Iihara A, Sakai N, Ito F, Nomizui M, Nishii N (2002) Purification and characterization of a nucleoplasmin-like protein from carp (Cyprinus carpio) eggs. Fish Sci 68:904–912
Shackleford GM, Ganguly A, MacArthur CA (2001) Cloning, expression and nuclear localization of human NPM3, a member of the nucleophosmin/nucleoplasmin family of nuclear chaperones. BMC Genomics 2:8
Tamada H, Van Thuan N, Reed P, Nelson D, Katoku-Kikyo N, Wudel J, Wakayama T, Kikyo N (2006) Chromatin decondensation and nuclear reprogramming by nucleoplasmin. Mol Cell Biol 26:1259–1271
Thompson JD, Higgins DG, Gibson TJ (1994) CLUSTAL W: improving the sensitivity of progressive multiple sequence alignment through sequence weighting, position-specific gap penalties and weight matrix choice. Nucleic Acids Res 22:4673–4680
Verheggen C, Almouzni G, Hernandez-Verdun D (2000) The ribosomal RNA processing machinery is recruited to the nucleolar domain before RNA polymerase I during Xenopus laevis development. J Cell Biol 149:293–306
Wang D, Umekawa H, Olson MO (1993) Expression and subcellular locations of two forms of nucleolar protein B23 in rat tissues and cells. Cell Mol Biol Res 39:33–42
Wedlich D, Dreyer C (1988) The distribution of nucleoplasmin in early development and organogenesis of Xenopus laevis. Cell Tissue Res 254:295–300
Xia W, Zhou L, Yao B, Li CJ, Gui JF (2007) Differential and spermatogenic cell-specific expression of DMRT1 during sex reversal in protogynous hermaphroditic groupers. Mol Cell Endocrinol 263:156–172
Xu H, Gui J, Hong Y (2005) Differential expression of vasa RNA and protein during spermatogenesis and oogenesis in the gibel carp (Carassius auratus gibelio), a bisexually and gynogenetically reproducing vertebrate. Dev Dyn 233:872–882
Yun JP, Chew EC, Liew CT, Chan JY, Jin ML, Ding MX, Fai YH, Li HK, Liang XM, Wu QL (2003) Nucleophosmin/B23 is a proliferate shuttle protein associated with nuclear matrix. J Cell Biochem 90:1140–1148
Zhou L, Wang Y, Gui JF (2000) Genetic evidence for gonochoristic reproduction in gynogenetic silver crucian carp (Carassius auratus gibelio Bloch) as revealed by RAPD assays. J Mol Evol 51:498–506
Zhu R, Zhang YB, Zhang QY, Gui JF (2008) Functional domains and the antiviral effect of the dsRNA-dependent protein kinase PKR from Paralichthys olivaceu. J Virol 82:6889–6901
Acknowledgments
This work was supported by grants from the National Major Basic Research Program (2004CB117401), the Innovation Project of the Chinese Academy of Sciences (KSCX2-YW-N-020), the Open Project of State Key Laboratory of Freshwater Ecology and Biotechnology (2008FB007), and the Innovation Project of the Institute of Hydrobiology, Chinese Academy of Sciences (075A011301).
Author information
Authors and Affiliations
Corresponding author
Rights and permissions
About this article
Cite this article
Wu, N., Li, CJ. & Gui, JF. Molecular Characterization and Functional Commonality of Nucleophosmin/Nucleoplasmin in Two Cyprinid Fish. Biochem Genet 47, 749–762 (2009). https://doi.org/10.1007/s10528-009-9274-y
Received:
Accepted:
Published:
Issue Date:
DOI: https://doi.org/10.1007/s10528-009-9274-y


