Skip to main content

Histological changes in intestine of Atlantic salmon (Salmo salar L.) following in vitro exposure to pathogenic and probiotic bacterial strains

Abstract

Furunculosis and vibriosis are diseases that cause severe economic losses in the fish-farming industry. The foregut of the Atlantic salmon (Salmo salar L.) was exposed in vitro to two fish pathogens, Aeromonas salmonicida (causative agent of furunculosis) and Vibrio anguillarum (causative agent of vibriosis), and to one probiotic strain, Carnobacterium divergens, at 6 × 104 or 6 × 106 viable bacteria per milliliter. Histological changes following bacterial exposure were assessed by light and electron microscopy. Control samples (foregut exposed to Ringer’s solution only) and samples exposed only to C. divergens had a similar appearance to intact intestinal mucosal epithelium, with no signs of damage. However, exposure of the foregut to the pathogenic bacteria resulted in damaged epithelial cells, cell debris in the lumen, and disorganization of the microvilli. Co-incubation of the foregut with a pathogen and C. divergens did not reverse the damaging effects caused by the pathogen, although these were alleviated when probiotic bacteria were used. Based on these results, we suggest that the probiotic bacterium, C. divergens, is able to prevent, to some extent, pathogen-induced damage in the Atlantic salmon foregut.

This is a preview of subscription content, access via your institution.

Fig. 1
Fig. 2
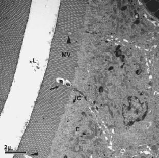
Fig. 3
Fig. 4
Fig. 5
Fig. 6

References

  • Austin B, Allen-Austin D (1985) Bacterial pathogens of fish. J Appl Bacteriol 58:483–506

    PubMed  CAS  Google Scholar 

  • Bakken Y (2002) Histological studies of pyloric caeca of Atlantic salmon (Salmo salar L.) fed diets containing linseed-, soybean- and marine oils. Effects of challenge with Aeromonas salmonicida ssp. salmonicida. M.Sc. Thesis. Norwegian College of Fishery Science University of Tromsø/Norwegian School of Veterinary Science

  • Birkbeck TH, Ringø E (2005) Pathogenesis and the gastrointestinal tract of growing fish. In: Holzapfel W, Naughton P (eds) Microbial ecology in growing animals. Elsevier, Edinburgh, pp 208–234

    Google Scholar 

  • Gram L, Ringø E (2005) Prospects of fish probiotics. In: Holzapfel W, Naughton P (eds) Microbial ecology in growing animals. Elsevier, Edinburgh, pp 379–417

    Google Scholar 

  • Hansen GF, Olafsen JA (1999) Bacterial interactions in early life stages of marine cold water fish. Microb Ecol 38:1–26

    PubMed  Article  Google Scholar 

  • Irianto A, Austin B (2003) Use of dead probiotic cells to control furunculosis in rainbow trout, Oncorhynchus mykiss (Walbaum). J Fish Dis 26:59

    PubMed  Article  CAS  Google Scholar 

  • Isolauri E (2001) Probiotics in human disease. Am J Clin Nutr 73 Suppl:1142S–1146S

    Google Scholar 

  • Madsen K, Cornish A, Soper P, McKaigney C, Jijon H, Yachimec C, Doyle J, Jewell L, De Simone C (2001) Probiotic bacteria enhance murine and human intestinal epithelial barrier function. Gastroenterology 121:580–591

    PubMed  Article  CAS  Google Scholar 

  • McDowell EM, Trump BF (1976) Histologic fixatives suitable for diagnostic light and electron microscopy. Arch Pathol Lab Med 100:405–414

    PubMed  CAS  Google Scholar 

  • Miller S (1975) Experimental design and statistics. Methuen, London

    Google Scholar 

  • Nikoskelainen S, Ouwehand A, Salmonen S, Bylund G (2001) Protection of rainbow trout (Oncorhynchus mykiss) from furunculosis by Lactobacillus rahmnosus. Aquaculture 198:229–236

    Article  Google Scholar 

  • O’Toole R, Von Hofsten J, Rosqvist R, Olsson PE, Wolf-Watz H (2004) Visualisation of zebrafish infection by GFP-labelled Vibrio anguillarum. Microb Pathog 37:41–46

    PubMed  Article  CAS  Google Scholar 

  • Otte JM, Podolsky DK (2004) Functional modulation of enterocytes by gram-positive and gram-negative microorganisms. Am J Physiol Gastrointest Liver Physiol 286:G613–G626

    PubMed  Article  CAS  Google Scholar 

  • Ouwehand AC, Salminen S, Isolauri E (2002) Probiotics: an overview of beneficial effects. Antonie van Leeuwenhoek 82:279–289

    PubMed  Article  CAS  Google Scholar 

  • Parassol N, Freitas M, Thoreaux K, Dalmasso G, Bourdet-Sicard R, Rampal P (2005) Lactobacillus casei DN-114001 inhibits the increase in paracellular permeability of enteropathogenic Escherichia coli-infected T84 cells. Res Microbiol 156:256–262

    PubMed  CAS  Google Scholar 

  • Ringø E, Olsen RE (1999) The effect of diet on aerobic bacterial flora associated with intestine of Arctic charr (Salvelinus alpinus L.). J Appl Microbiol 86:22–28

    PubMed  Article  Google Scholar 

  • Ringø E, Lødemel JB, Myklebust R, Kaino T, Mayhew TM, Olsen RE (2001) Epithelium-associated bacteria in the gastrointestinal tract of Arctic charr (Salvelinus alpinus L.). An electron microscopical study. J Appl Microbiol 90:294–300

    PubMed  Article  Google Scholar 

  • Ringø E, Seppola M, Berg A, Olsen RE, Schillinger U, Holzapfel W (2002) Characterization of Carnobacterium divergens strain 6251 isolated from intestine of Arctic charr (Salvelinus alpinus L.). System Appl Microbiol 25:120–129

    Article  Google Scholar 

  • Ringø E, Olsen RE, Mayhew TM, Myklebust R (2003) Electron microscopy of the intestinal microflora of fish. Aquaculture 227:395–415

    Article  Google Scholar 

  • Ringø E, Jutfelt F, Kanapathippillai P, Bakken Y, Sundell K, Glette J, Mayhew TM, Myklebust R, Olsen RE (2004) Damaging effect of the fish pathogen Aeromonas salmonicida ssp. salmonicida on intestinal enterocytes of Atlantic salmon (Salmo salar L.). Cell Tissue Res 318:305–311

    PubMed  Article  Google Scholar 

  • Ringø E, Schillinger U, Holzapfel W (2005) Antimicrobial activity of lactic acid bacteria isolated from aquatic animals and the use of lactic acid bacteria in aquaculture. In: Holzapfel W, Naughton P (eds) Microbial ecology in growing animals. Elsevier, Edinburgh, pp 418–453

    Google Scholar 

  • Salinas I, Cuesta A, Esteban MA, Meseguer J (2005) Dietary administration of Lactobacillus delbrueckii and Bacillus subtilis, single or combined, on gilthead seabream cellular innate immune responses. Fish Shelfish Immunol 19:67–77

    Article  CAS  Google Scholar 

  • Samuelsen OB, Hjeltnes B, Glette J (1998) Efficacy of orally administered florfenicol in the treatment of furunculosis in Atlantic salmon. J Aqua Anim Health 10:56–61

    Article  Google Scholar 

  • Spanggaard B, Huber I, Nielsen J, Sick EB, Pipper CB, Martinuss T, Slierendrecht WJ, Gram L (2001) The probiotic potential against vibriosis of the indigenous microflora of rainbow trout. Environ Microbiol 3:755–765

    PubMed  Article  CAS  Google Scholar 

Download references

Acknowledgements

We are grateful for the excellent technical assistance of Hari Rudra and Rolf Hetlelid Olsen at the Institute of Marine Research, Bergen. Sample processing and examination were undertaken at the Molecular Image Center, Institute of Anatomy and Cell Biology, University of Bergen.

Author information

Affiliations

Authors

Corresponding author

Correspondence to E. Ringø.

Additional information

I. Salinas thanks Fundacion Seneca for a PhD studentship.

Rights and permissions

Reprints and Permissions

About this article

Cite this article

Ringø, E., Salinas, I., Olsen, R.E. et al. Histological changes in intestine of Atlantic salmon (Salmo salar L.) following in vitro exposure to pathogenic and probiotic bacterial strains. Cell Tissue Res 328, 109–116 (2007). https://doi.org/10.1007/s00441-006-0323-0

Download citation

  • Received:

  • Accepted:

  • Published:

  • Issue Date:

  • DOI: https://doi.org/10.1007/s00441-006-0323-0

Keywords

  • Fish digestive tract
  • Epithelial damage
  • Aeromonas salmonicida
  • Vibrio anguillarum
  • Carnobacterium divergens
  • Salmo salar (Teleostei)