Skip to main content

Intra-brain microinjection of human mesenchymal stem cells decreases allodynia in neuropathic mice

Abstract

Neuropathic pain is a very complex disease, involving several molecular pathways. Current available drugs are usually not acting on the several mechanisms underlying the generation and propagation of pain. We used spared nerve injury model of neuropathic pain to assess the possible use of human mesenchymal stem cells (hMSCs) as anti-neuropathic tool. Human MSCs were transplanted in the mouse lateral cerebral ventricle. Stem cells injection was performed 4 days after sciatic nerve surgery. Neuropathic mice were monitored 7, 10, 14, 17, and 21 days after surgery. hMSCs were able to reduce pain-like behaviors, such as mechanical allodynia and thermal hyperalgesia, once transplanted in cerebral ventricle. Anti-nociceptive effect was detectable from day 10 after surgery (6 days post cell injection). Human MSCs reduced the mRNA levels of the pro-inflammatory interleukin IL-1β mouse gene, as well as the neural β-galactosidase over-activation in prefrontal cortex of SNI mice. Transplanted hMSCs were able to reduce astrocytic and microglial cell activation.

This is a preview of subscription content, access via your institution.

Fig. 1
Fig. 2
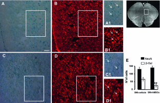
Fig. 3
Fig. 4
Fig. 5

References

  1. Merskey H, Bogduk N (1994) Classification of chronic pain. IASP, Seattle

    Google Scholar 

  2. Siniscalco D, de Novellis V, Rossi F, Maione S (2005) Neuropathic pain: is the end of suffering starting in the gene therapy? Curr Drug Targets 6:75–80

    Article  CAS  PubMed  Google Scholar 

  3. de Novellis V, Siniscalco D, Galderisi U, Fuccio C, Nolano M, Santoro L, Cascino A, Roth KA, Rossi F, Maione S (2004) Blockade of glutamate mGlu5 receptors in a rat model of neuropathic pain prevents early over-expression of pro-apoptotic genes and morphological changes in dorsal horn lamina II. Neuropharmacology 46:468–479

    Article  PubMed  Google Scholar 

  4. Siniscalco D, Fuccio C, de Novellis V, Rossi F, Maione S (2005) Molecular methods for neuropathic pain treatment. J Neuropathic Pain 1(3):35–42

    Article  CAS  Google Scholar 

  5. Galluzi KE (2005) Management of neuropathic pain. J Am Osteopath Assoc 105:12–19

    Google Scholar 

  6. Zimmermann M (2001) Pathobiology of neuropathic pain. Eur J Pharmacol 429:23–37

    Article  CAS  PubMed  Google Scholar 

  7. Maione S, Siniscalco D, Galderisi U, de Novellis V, Uliano R, Di Bernardo G, Berrino L, Cascino A, Rossi F (2002) Apoptotic genes expression in the lumbar dorsal horn in a model neuropathic pain in rat. Neuroreport 13(1):101–106

    Article  PubMed  Google Scholar 

  8. Apkarian AV, Sosa Y, Sonty S, Levy RM, Harden RN, Parrish TB, Gitelman DR (2004) Chronic back pain is associated with decreased prefrontal and thalamic gray matter density. J Neurosci 24(46):10410–10415

    Article  CAS  PubMed  Google Scholar 

  9. Cao Q, Benton RL, Whittemore SR (2002) Stem cell repair of central nervous system injury. J Neurosci Res 68(5):501–510

    Article  CAS  PubMed  Google Scholar 

  10. Lindvall O, Kokaia Z (2006) Stem cells for the treatment of neurological disorders. Nature 441(7097):1094–1096

    Article  CAS  PubMed  Google Scholar 

  11. Lindvall O, Kokaia Z (2005) Stem cell therapy for human brain disorders. Kidney Int 68(5):1937–1939

    Article  PubMed  Google Scholar 

  12. Siniscalco D, Rossi F, Maione S (2007) Molecular approaches for neuropathic pain treatment. Curr Med Chem 14:1783–1787

    Article  CAS  PubMed  Google Scholar 

  13. Short B, Brouard N, Occhiodoro-Scott T, Ramakrishnan A, Simmons PJ (2003) Mesenchymal stem cells. Arch Med Res 34:565–571

    Article  CAS  PubMed  Google Scholar 

  14. Beyer Nardi N, Da Silva Meirelles L (2006) Mesenchymal stem cells: isolation, in vitro expansion and characterization. Handb Exp Pharmacol 174:249–282

    PubMed  Google Scholar 

  15. Sethe S, Scutt A, Stolzing A (2006) Aging of mesenchymal stem cells. Ageing Res Rev 5:91–116

    Article  CAS  PubMed  Google Scholar 

  16. Giordano A, Galderisi U, Marino IR (2007) From the laboratory bench to the patient’s bedside: an update on clinical trials with mesenchymal stem cells. J Cell Physiol 211:27–35

    Article  CAS  PubMed  Google Scholar 

  17. Le Blanc K, Pittenger M (2005) Mesenchymal stem cells: progress toward promise. Cytotherapy 7:36–45

    Article  PubMed  Google Scholar 

  18. Beggs KJ, Lyubimov A, Borneman JN, Bartholomew A, Moseley A, Dodds R, Archambault MP, Smith AK, McIntosh KR (2006) Immunologic consequences of multiple, high-dose administration of allogeneic mesenchymal stem cells to baboons. Cell Transplant 15:711–721

    Article  PubMed  Google Scholar 

  19. Jori FP, Napolitano MA, Melone MA, Cipollaro M, Cascino A, Altucci L, Peluso G, Giordano A, Galderisi U (2005) Molecular pathways involved in neural in vitro differentiation of marrow stromal stem cells. J Cell Biochem 94:645–655

    Article  CAS  PubMed  Google Scholar 

  20. Mazzini L, Mareschi K, Ferrero I, Vassallo E, Oliveri G, Nasuelli N, Oggioni GD, Testa L, Fagioli F (2005) Stem cell treatment in amyotrophic lateral sclerosis. J Cell Biochem 94:645–655

    Article  Google Scholar 

  21. Bae JS, Han HS, Youn DH, Carter JE, Modo M, Schuchman EH, Jin HK (2007) Bone marrow-derived mesenchymal stem cells promote neuronal networks with functional synaptic transmission after transplantation into mice with neurodegeneration. Stem Cells 25:1307–1316

    Article  CAS  PubMed  Google Scholar 

  22. Musolino PL, Coronel MF, Hokfelt T, Villar MJ (2007) Bone marrow stromal cells induce changes in pain behavior after sciatic nerve constriction. Neurosci Lett 418:97–101

    Article  CAS  PubMed  Google Scholar 

  23. Bourquin, AF, Süveges M, Pertin M, Gilliard N, Sardy S, Davison AC, Spahn DR, Decosterd I (2006). Assessment and analysis of mechanical allodynia-like behavior induced by spared nerve injury (SNI) in the mouse. Pain 122,14.e1–14

    Google Scholar 

  24. Squillaro T, Hayek G, Farina E, Cipollaro M, Renieri A, Galderisi U (2008) A case report: bone marrow mesenchymal stem cells from a Rett syndrome patient are prone to senescence and show a lower degree of apoptosis. J Cell Biochem 103:1877–1885

    Article  CAS  PubMed  Google Scholar 

  25. Kopen G, Prockop DJ, Phinney DG (1999) Marrow stromal cells migrate throughout forebrain and cerebellum, and they differentiate into astrocytes after injection into neonatal mouse brains. Proc Natl Acad Sci USA 96:10711–10716

    Article  CAS  PubMed  Google Scholar 

  26. Paxinos G, Watson C (1986) The rat brain in stereotaxic coordinates. Academic, London

    Google Scholar 

  27. Dominici M, Le Blanc K, Mueller I, Slaper-Cortenbach I, Marini F, Krause D, Deans R, Keating A, Dj Prockop, Horwitz E (2006) Minimal criteria for defining multipotent mesenchymal stromal cells. The International Society for Cellular Therapy position statement. Cytotherapy 8(4):315–317

    Article  CAS  PubMed  Google Scholar 

  28. Coronel MF, Musolino PL, Villar MJ (2006) Selective migration and engraftment of bone marrow mesenchymal stem cells in rat lumbar dorsal root ganglia after sciatic nerve constriction. Neurosci Lett 405:5–9

    Article  CAS  PubMed  Google Scholar 

  29. Bennett L, Yang M, Enikolopov G, Iacovitti L (2009) Circumventricular organs: a novel site of neural stem cells in the adult brain. Mol Cell Neurosci 41(3):337–347

    Article  CAS  PubMed  Google Scholar 

  30. Kinoshita MO, Shinoda Y, Sakai K, Hashikawa T, Watanabe M, Machida T, Hirabayashi Y, Furuya S (2009) Selective upregulation of 3-phosphoglycerate dehydrogenase (Phgdh) expression in adult subventricular zone neurogenic niche. Neurosci Lett 453(1):21–26

    Article  CAS  PubMed  Google Scholar 

  31. Zhang H, Huang Z, Xu Y, Zhang S (2006) Differentiation and neurological benefit of the mesenchymal stem cells transplanted into the rat brain following intracerebral hemorrhage. Neurol Res 28(1):104–112

    Article  PubMed  Google Scholar 

  32. Dayer AG, Jenny B, Potter G, Sauvain MO, Szabó G, Vutskits L, Gascon E, Kiss JZ (2008) Recruiting new neurons from the subventricular zone to the rat postnatal cortex: an organotypic slice culture model. Eur J Neurosci 27(5):1051–1060

    Article  CAS  PubMed  Google Scholar 

  33. Wang X, Yang YJ, Jia YJ, Yu XH, Zhong L, Xie M, Wang XL (2007) The best site of transplantation of neural stem cells into brain in treatment of hypoxic-ischemic damage: experiment with newborn rats. Zhonghua Yi Xue Za Zhi 87(12):847–850

    PubMed  Google Scholar 

  34. Capone C, Frigerio S, Fumagalli S, Gelati M, Principato MC, Storini C, Montinaro M, Kraftsik R, De Curtis M, Parati E, De Simoni MG (2007) Neurosphere-derived cells exert a neuroprotective action by changing the ischemic microenvironment. PLoS One 2(4):e373

    Article  PubMed  Google Scholar 

  35. Prockop DJ, Gregory CA, Spees JL (2003) One strategy for cell and gene therapy: harnessing the power of adult stem cells to repair tissues. Proc Natl Acad Sci USA 100:11917–11923

    Article  CAS  PubMed  Google Scholar 

  36. Siniscalco D, Rossi F, Maione S (2008). Stem cell therapy for neuropathic pain treatment. J Stem cells Regenerative Med vol III (1)

  37. Cízková D, Rosocha J, Vanický I, Jergová S, Cízek M (2006) Transplants of human mesenchymal stem cells improve functional recovery after spinal cord injury in the rat. Cell Mol Neurobiol 26(7–8):1167–1180

    PubMed  Google Scholar 

  38. Hess DC, Borlongan CV (2008) Stem cells and neurological diseases. Cell Prolif 41(Suppl 1):94–114

    PubMed  Google Scholar 

  39. Lu D, Mahmood A, Wang L, Li Y, Lu M, Chopp M (2001) Adult bone marrow stromal cells administered intravenously to rats after traumatic brain injury migrate into brain and improve neurological outcome. Neuroreport 12:559–563

    Article  CAS  PubMed  Google Scholar 

  40. Mahmood A, Lu D, Wang L, Li Y, Lu M, Chopp M (2001) Treatment of traumatic brain injury in female rats with intravenous administration of bone marrow stromal cells. Neurosurgery 49:1196–1203

    Article  CAS  PubMed  Google Scholar 

  41. Mahmood A, Lu D, Chopp M (2004) Intravenous administration of marrow stromal cells (MSCs) increases the expression of growth factors in rat brain after traumatic brain injury. J Neurotrauma 21:33–39

    Article  PubMed  Google Scholar 

  42. Hendricks WA, Pak ES, Owensby JP, Menta KJ, Glazova M, Moretto J, Hollis S, Brewer KL, Murashov AK (2006) Predifferentiated embryonic stem cells prevent chronic pain behaviors and restore sensory function following spinal cord injury in mice. Mol Med 12(1–3):34–46

    CAS  PubMed  Google Scholar 

  43. Glazova M, Pak ES, Moretto J, Hollis S, Brewer KL, Murashov AK (2009) Pre-differentiated embryonic stem cells promote neuronal regeneration by cross-coupling of BDNF and IL-6 signaling pathways in the host tissue. J Neurotrauma 26(7):1029–1042

    Article  Google Scholar 

  44. Matsuda R, Yoshikawa M, Kimura H, Ouji Y, Nakase H, Nishimura F, Nonaka J, Toriumi H, Yamada S, Nishiofuku M, Moriya K, Ishizaka S, Nakamura M, Sakaki T (2009) Co-transplantation of mouse embryonic stem cells and bone marrow stromal cells following spinal cord injury suppresses tumor development. Cell Transplant 18(1):39–54

    Article  PubMed  Google Scholar 

  45. Lee AS, Tang C, Cao F, Xie X, van der Bogt K, Hwang A, Connolly AJ, Robbins RC, Wu JC (2009) Effects of cell number on teratoma formation by human embryonic stem cells. Cell Cycle 8(16):2608–2612

    PubMed  Google Scholar 

  46. Jori FP, Melone MA, Napolitano MA, Cipollaro M, Cascino A, Giordano A, Galderisi U (2005) RB and RB2/p130 genes demonstrate both specific and overlapping functions during the early steps of in vitro neural differentiation of marrow stromal stem cells. Cell Death Differ 12:65–77

    Article  CAS  PubMed  Google Scholar 

  47. Metz AE, Yau HJ, Centeno MV, Apkarian AV, Martina M (2009) Morphological and functional reorganization of rat medial prefrontal cortex in neuropathic pain. Proc Natl Acad Sci USA 106(7):2423–2428

    Article  CAS  PubMed  Google Scholar 

  48. Borckardt JJ, Smith AR, Reeves ST, Weinstein M, Kozel FA, Nahas Z, Shelley N, Branham RK, Thomas KJ, George MS (2007) Fifteen minutes of left prefrontal repetitive transcranial magnetic stimulation acutely increases thermal pain thresholds in healthy adults. Pain Res Manag 12(4):287–290

    PubMed  Google Scholar 

  49. Volonte D, Galbiati F (2009) Inhibition of thioredoxin reductase 1 by caveolin 1 promotes stress-induced premature senescence. EMBO Rep doi:10.1038/embor.2009.215

  50. Pisati F, Bossolasco P, Meregalli M, Cova L, Belicchi M, Gavina M, Marchesi C, Calzarossa C, Soligo D, Lambertenghi-Deliliers G, Bresolin N, Silani V, Torrente Y, Polli E (2007) Induction of neurotrophin expression via human adult mesenchymal stem cells: implication for cell therapy in neurodegenerative diseases. Cell Transplant 16(1):41–55

    PubMed  Google Scholar 

  51. Pan HC, Cheng FC, Chen CJ, Lai SZ, Lee CW, Yang DY, Chang MH, Ho SP (2007) Post-injury regeneration in rat sciatic nerve facilitated by neurotrophic factors secreted by amniotic fluid mesenchymal stem cells. J Clin Neurosci 14(11):1089–1098

    Article  CAS  PubMed  Google Scholar 

  52. Majumdar MK, Thiede MA, Mosca JD, Moorman M, Gerson SL (1998) Phenotypic and functional comparison of cultures of marrow-derived mesenchymal stem cells (MSCs) and stromal cells. J Cell Physiol 176:57–66

    Article  CAS  PubMed  Google Scholar 

  53. Eaves CJ, Cashman JD, Kay RJ, Dougherty GJ, Otsuka T, Gaboury LA, Hogge DE, Lansdorp PM, Eaves AC, Humphries RK (1991) Mechanisms that regulate the cell cycle status of very primitive hematopoietic cells in long-term human marrow cultures, II: analysis of positive and negative regulators produced by stromal cells within the adherent layer. Blood 78:110–117

    CAS  PubMed  Google Scholar 

  54. Wang Z, Wang J, Li X, Yuan Y, Fan G (2008) Interleukin-1 beta of Red nucleus involved in the development of allodynia in spared nerve injury rats. Exp Brain Res 188(3):379–384

    Article  CAS  PubMed  Google Scholar 

  55. Costigan M, Woolf CJ (2000) Pain: molecular mechanisms. J Pain 1:35–44

    Article  CAS  PubMed  Google Scholar 

  56. Apkarian AV, Lavarello S, Randolf A, Berra HH, Chialvo DR, Besedovsky HO, del Rey A (2006) Expression of IL-1beta in supraspinal brain regions in rats with neuropathic pain. Neurosci Lett 407:176–181

    Article  PubMed  Google Scholar 

  57. Bianchi M, Dib B, Panerai AE (1998) Interleukin-1 and nociception in the rat. J Neurosci Res 53(6):645–650

    Article  CAS  PubMed  Google Scholar 

  58. Gustafson-Vickers SL, Lu VB, Lai AY, Todd KG, Ballanyi K, Smith PA (2008) Long-term actions of interleukin-1beta on delay and tonic firing neurons in rat superficial dorsal horn and their relevance to central sensitization. Mol Pain 4:63

    Article  PubMed  Google Scholar 

  59. Milligan ED, Twining C, Chacur M, Biedenkapp J, O’Connor K, Poole S, Tracey K, Martin D, Maier SF, Watkins LR (2003) Spinal glia and proinflammatory cytokines mediate mirrorimage neuropathic pain in rats. J Neurosci 23:1026–1040

    CAS  PubMed  Google Scholar 

  60. Guo W, Wang H, Watanabe M, Shimizu K, Zou S, LaGraize SC, Wei F, Dubner R, Ren K (2007) Glial-cytokine-neuronal interactions underlying the mechanisms of persistent pain. J Neurosci 27:6006–6018

    Article  CAS  PubMed  Google Scholar 

  61. Rothwell N (2003) Interleukin-1 and neuronal injury: mechanisms, modification, and therapeutic potential. Brain Behav Immun 17(3):152–157

    Article  PubMed  Google Scholar 

  62. Corcione A, Benvenuto F, Ferretti E, Giunti D, Cappiello V, Cazzanti F, Risso M, Gualandi F, Mancardi GL, Pistoia V, Uccelli A (2006) Human mesenchymal stem cells modulate B-cell functions. Blood 107:367–372

    Article  CAS  PubMed  Google Scholar 

  63. Sze SK, de Kleijn DP, Lai RC, Tan EK, Zhao H, Yeo KS, Low TY, Lian Q, Lee CN, Mitchell W, El Oakley RM, Lim SK (2007) Elucidating the secretion proteome of human embryonic stem cell-derived mesenchymal stem cells. Mol Cell Proteomics 6:1680–1689

    Article  CAS  PubMed  Google Scholar 

  64. Ceradini DJ, Kulkarni AR, Callaghan MJ, Tepper OM, Bastidas N, Kleinman ME, Capla JM, Galiano RD, Levine JP, Gurtner GC (2004) Progenitor cell trafficking is regulated by hypoxic gradients through HIF-1 induction of SCF-1. Nat Med 10:858–864

    Article  CAS  PubMed  Google Scholar 

  65. Forte A, Finicelli M, Mattia M, Berrino L, Rossi F, De Feo M, Cotrufo M, Cipollaro M, Cascino A, Galderisi U (2008) Mesenchymal stem cells effectively reduce surgically induced stenosis in rat carotids. J Cell Physiol 217(3):789–799

    Article  CAS  PubMed  Google Scholar 

  66. Mattsson J (2008) Recent progress in allogeneic stem cell transplantation. Curr Opin Mol Ther 10:343–349

    PubMed  Google Scholar 

  67. Zhuo M (2007) Neuronal mechanism for neuropathic pain. Mol Pain 3:14

    Article  PubMed  Google Scholar 

  68. Jasmin L, Rabkin SD, Granato A, Boudah A, Ohara PT (2003) Analgesia and hyperalgesia from GABA-mediated modulation of the cerebral cortex. Nature 424(6946):316–320

    Article  CAS  PubMed  Google Scholar 

  69. Neugebauer V, Galhardo V, Maione S, Mackey SC (2009) Forebrain pain mechanisms. Brain Res Rev 60(1):226–242

    Article  PubMed  Google Scholar 

  70. Fuccio C, Luongo C, Capodanno P, Giordano C, Scafuro MA, Siniscalco D, Lettieri B, Rossi F, Maione S, Berrino L (2009) A single subcutaneous injection of ozone prevents allodynia and decreases the over-expression of pro-inflammatory caspases in the orbito-frontal cortex of neuropathic mice. Eur J Pharmacol 603(1–3):42–49

    Article  CAS  PubMed  Google Scholar 

  71. Galvin KA, Jones DG (2006) Adult human neural stem cells for autologous cell replacement therapies for neurodegenerative disorders. NeuroRehabilitation 21:255–265

    PubMed  Google Scholar 

  72. Klass M, Gavrikov V, Drury D, Stewart B, Hunter S, Denson DD, Hord A, Csete M (2007) Intravenous mononuclear marrow cells reverse neuropathic pain from experimental mononeuropathy. Anesth Analg 104(4):944–948

    Article  PubMed  Google Scholar 

  73. Decosterd I, Woolf CJ (2000) Spared nerve injury: an animal model of persistent peripheral neuropathic pain. Pain 87(2):149–158

    Article  CAS  PubMed  Google Scholar 

Download references

Author information

Affiliations

Authors

Corresponding author

Correspondence to Dario Siniscalco.

Rights and permissions

Reprints and Permissions

About this article

Cite this article

Siniscalco, D., Giordano, C., Galderisi, U. et al. Intra-brain microinjection of human mesenchymal stem cells decreases allodynia in neuropathic mice. Cell. Mol. Life Sci. 67, 655–669 (2010). https://doi.org/10.1007/s00018-009-0202-4

Download citation

  • Received:

  • Revised:

  • Accepted:

  • Published:

  • Issue Date:

  • DOI: https://doi.org/10.1007/s00018-009-0202-4

Keywords

  • Neuropathic pain
  • Human mesenchymal stem cells
  • Stem cell transplantation
  • Regenerative medicine